Occitanie, Aude (11)
Boutenac-Gasparets, Eglise Saint-Martin-de-Gasparets
Édifice


Mentionnée pour la première fois en 1119 dans un document du Gallia Christiana, l’église Saint-Martin s’élève à l’emplacement d’une chapelle plus ancienne, probablement wisigothique, située au bord d’une voie antique.
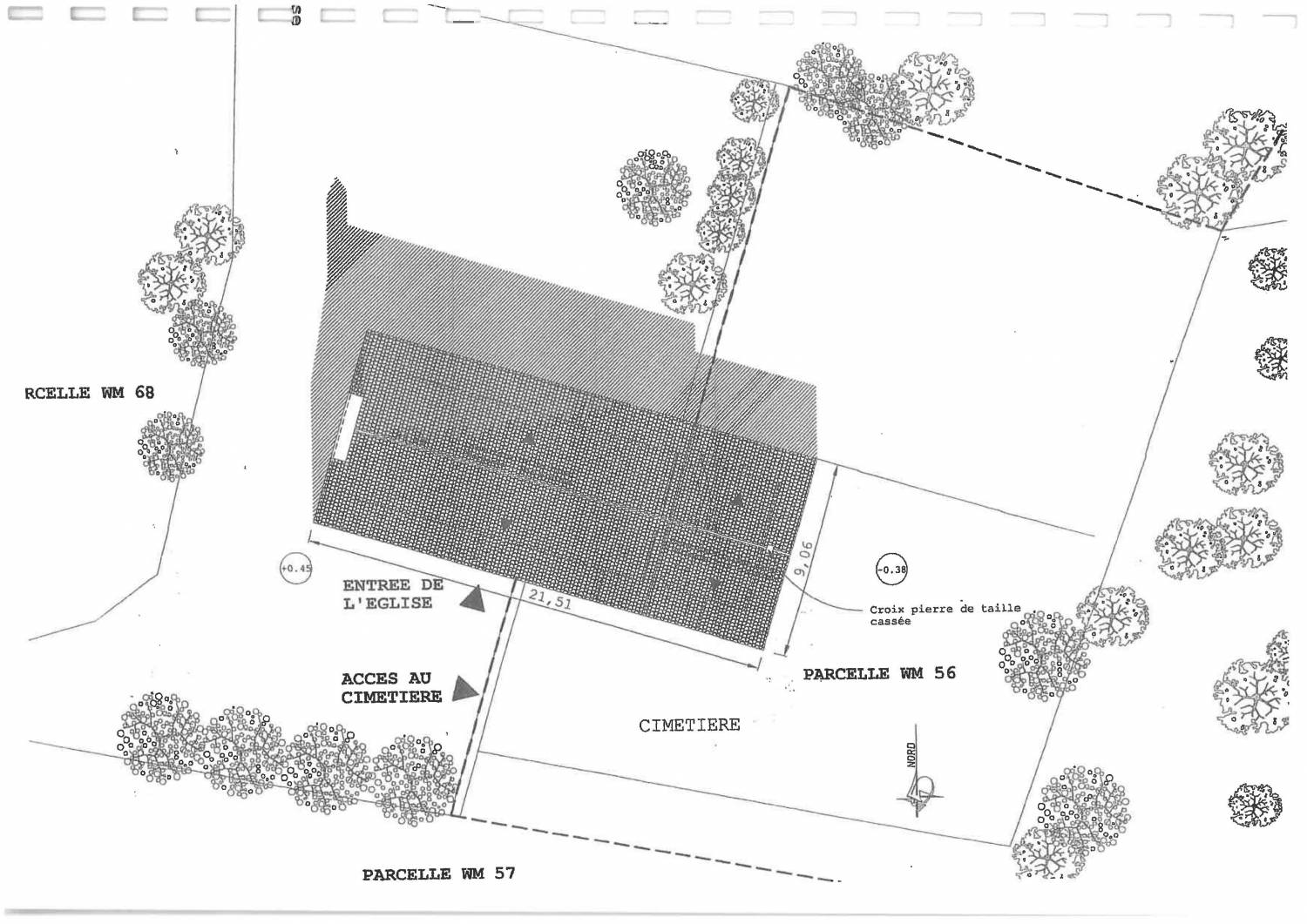
Elle est entourée de sépultures formées de grandes dalles et adossées au mur de clôture du cimetière de Gasparets. De nombreux tessons y ont été ramassés ainsi que des ossements pouvant dater du Moyen Age, il serait même question d’un cimetière wisigothique…
Dans le cimetière, un cippe antique, accolé à l’angle sud-est de l’église, confirme l’antériorité du lieu.
L’église Saint-Martin est une construction fort simple, de forme rectangulaire, composée d’une nef et d’un chœur séparés par un arc brisé, le chevet apparaissant comme la partie la plus ancienne, prolongé par une sacristie de construction postérieure. La façade ouest est surmontée d’un clocher-pignon, probablement postérieur au XVIe siècle.
Les murs, d’une épaisseur de plus d’un mètre, donnent à l’église un air de forteresse laissant supposer qu’elle eut pu servir de refuge aux villageois…
L’extérieur de l’édifice porte, façades nord et sud, des trous de boulins faisant aussi penser à l’existence possible d’une construction défensive.
Associés à la massivité du bâtiment, aux altérations des pierres des façades nord et sud, aux différentes maçonneries et bien que sans preuve à ce jour, on peut penser que l’église a en partie été détruite par un incendie, lors d’épisodes de troubles.
L’intérieur est très sobre. Les murs sont enduits d’une peinture à la chaux blanche qui recouvre une litre surmontée de croix de dédicace.
Celle-ci aurait pu être peinte à la mémoire du défunt gisant sous la dalle funéraire au centre de la nef portant des inscriptions qui indiquent la sépulture d’un moine décédé en mars 1602. A noter que de notoriété publique, une seconde sépulture se trouvait dans le chœur.
L’église conserve en outre une grosse jarre considérée comme wisigothique qui a servi de fonts baptismaux.

















